Pomonavænget 2
4230 Skælskør

Sagsnr. 1718735

Ejendomstype

Grund

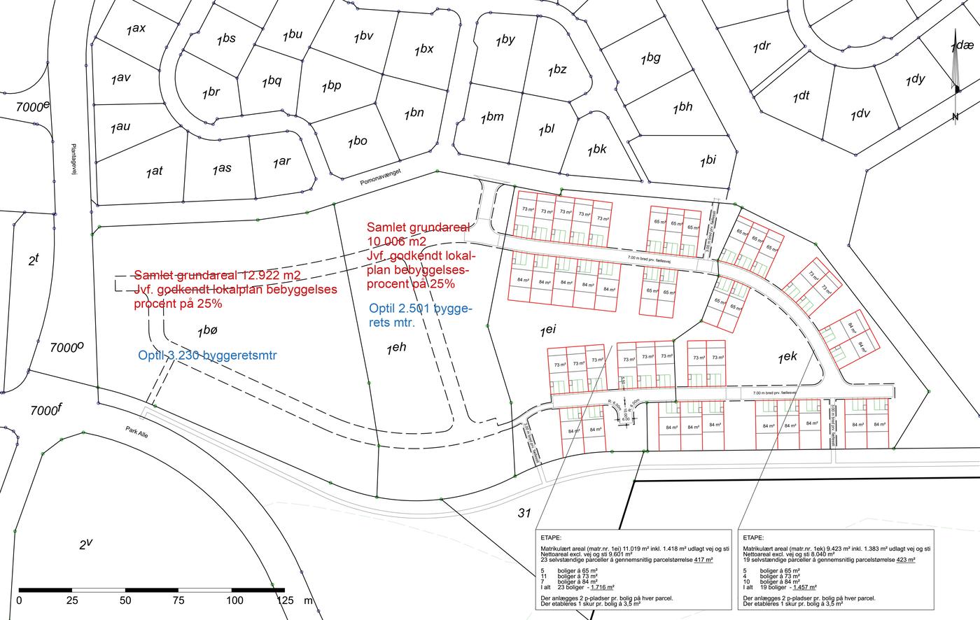
10.008 m²

Kontantpris

Årlig driftsudgift

4.500.000 kr.

66.334 kr.

Lokalplanlagt for 2.501 m² tæt-lav boligbebyggelse

Beliggenhed:
Arealet ligger øst for Guldagergård Bypark i Skælskør, et udbygget boligområde. Det er lokalplanlagt og befinder sig i byzone.

Areal:
Det primære areal udgør cirka 1 hektar (10.008 m²) og tillader opførelse af tæt-lav boligbebyggelse med et samlet bygningsareal på 2.501 m². Derudover er der mulighed for at medkøbe et tilstødende areal på 12.921 m², som også er lokalplanlagt til tæt-lav boligbebyggelse med et bygningsareal på 3.230 m².

Omgivelser:
Området er omgivet af stamvejen Guldborgvænget mod nord, næsten fuldt udbyggede parcelhuse og en offentlig hovedsti mod øst, en hovedsti og et regnvandsbassin mod syd, samt et grønt område planlagt til serviceområde ifølge Kommuneplanen. Mod vest afgrænses området af Plantagevej.

Attraktivitet:
Boligområdet er attraktivt beliggende som en del af et større boligområde med Guldagergård Bypark og Skulpturpark samt Internationalt Keramisk Center som nærmeste nabo mod vest.

Natur og terræn:
Området, som i dag er udyrket mark, har et forholdsvis fladt terræn med et ældre markhegn i den sydvestlige del.

Moms:
Køber er gjort nøje opmærksom på, at ejendommen sælges som ubebygget areal og at købesummen bliver tillagt moms.

Byggemodning:
Køber bærer samtlige omkostninger i forbindelse med byggemodning og tilslutningsafgifter af grunden, herunder til el-, vand- og varmeforsyning m.v.

Det bemærkes, at arealet har gennemgået arkæologiske undersøgelse og der er foretaget orienterende jordbundsundersøgelser.

Læs mere

Vil du vide mere?

Henrik Nikolajsen

hkn@nordicals.dk

+45 4034 4292

Sorøvej 9A, 4200 Slagelse

+45 5850 1212

4200@nordicals.dk

Besøg vores mæglerside

Lignende ejendomme

Til top