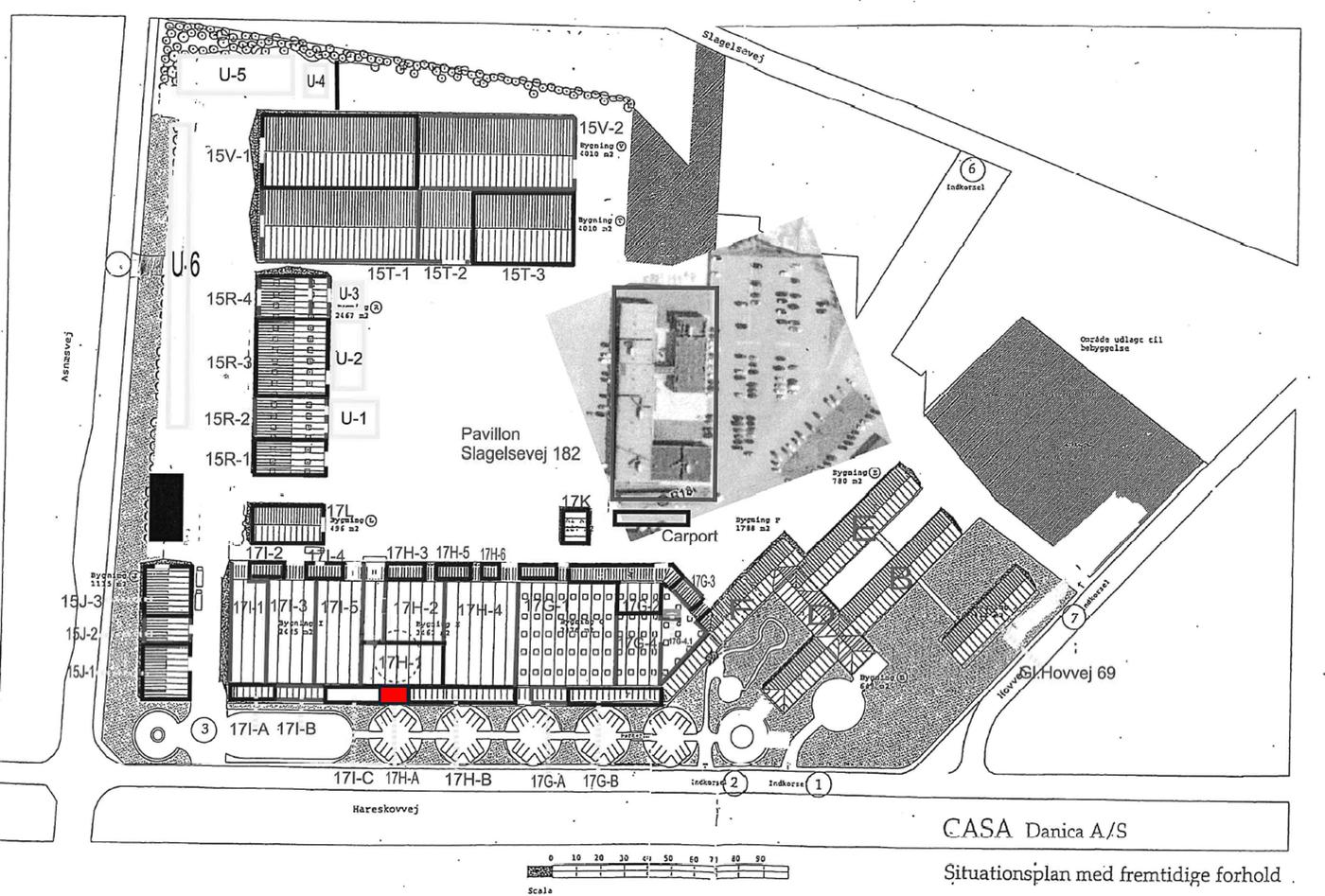
Hareskovvej 17 H-A
4400 Kalundborg

Sagsnr. 2019300

Ejendomstype

Etageareal

Grund

Energiklasse

80 m²

92.188 m²

C

Årlig leje

Leje pr. m²

Depositum

Årlig driftsudgift

Årlig driftsudgift pr. m²

80.000 kr.

1.000 kr.

40.000 kr.

1.680 kr.

21 kr.

Lokaler velegnet til klinik, kontor eller møderum

80 m² lyse lokaler særdeles velegnet til klinik eller kontor. Er du psykolog, fodterapeut eller anden behandler er dette lejemål særdeles velegnet. Lejemålet rummer særskilte behandlerrum samt venterum. Lejemålet er også velegnet som kontor med egne rum og fælles mødelokale. God placering, med stor synlighed.

Læs mere

Vil du vide mere?

Lignende ejendomme

Til top